В статье рассмотрен случай из практики, когда ошибки при инженерных изысканиях, проектировании и строительстве привели к появлению на окраине одного из российских рабочих поселков аварийного дома, который почти тридцать лет не могли расселить. Подчеркивается, что это скорее всего массовое явление, являющееся результатом строительства в особо трудные для страны годы – во время и после развала СССР. Да, в Москве и некоторых других городах России сейчас проводится реновации жилого фонда (причем часто сносят вполне крепкие пятиэтажки, поскольку земля в городах стоит дорого и кому-то выгодно построить на ней высотные здания). Но в стране слишком много уголков, где этого практически невозможно добиться даже в случае действительно ветхих и аварийных домов, и люди вынуждены там жить в невыносимых и даже опасных для жизни условиях. К этой проблеме автор и пытается привлечь внимание читателей.
В начале 1990-х годов, когда в Москве уже начали реализовывать программу расселения и сноса пятиэтажных панельных домов, построенных в основном в 1950–1960-е годы, на окраине одного из рабочих поселков в южной части России силами стройбата заканчивалось строительство трехэтажного панельного жилого дома. Соседние дома, предназначавшиеся для рабочих и инженеров одной из грандиозных строек позднесоветского периода, были уже сданы, а этот вовремя достроить не успели, поскольку в 1990 году финансирование прекратилось. В отличие от соседних этот дом еще три года зиял пустыми глазницами окон. И только в 1993 году его сдали в эксплуатацию (рис. 1).
Рис. 1. Трехэтажный панельный дом, сданный в эксплуатацию в 1993 году в одном из рабочих поселков на юге России
Проблемы у людей, заехавших в долгожданные квартиры в этом доме, начались почти сразу. Здание, выполненное из сборных железобетонных панелей на ленточном фундаменте из блоков ФБС (фундаментных блоков строительных из железобетона или бетона. – Ред.), буквально с первых недель начало постепенно деформироваться. Сначала деформации проявлялись в виде еле заметных трещин на заделанных цементом стыках панелей. Но каждая новая весна делала эти щели все шире и шире (рис. 2). Потом начали появляться трещины в самих стеновых панелях в подвале и на чердаке, а также в фундаментных блоках. С каждым годом они становились все более явными и их становилось все больше (рис. 3). А однажды, когда по счастливой случайности никого не было дома, в спальне одной из квартир из зоны потолочного шва отвалился большой кусок штукатурки (рис. 4).
Рис. 2. Трещина между стыками панелей, проявившаяся в квартире через треснувшие обои
Рис. 3. Трещины в стене и на стыках панелей, проявившиеся сквозь штукатурку и краску
Рис. 4. Место в зоне потолочного шва, откуда отвалился большой кусок штукатурки
Следующие несколько лет жильцы этого дома боролись с последствиями прогрессирующих деформаций собственными силами. Но потом пришло понимание, что это не только бессмысленно, но и опасно. И тогда наиболее активные решили обратиться за помощью к местной власти.
Но это был конец 1990-х годов, когда ни о каком строительстве нового жилья во многих регионах страны не было и речи. И естественно, местная власть с пустым бюджетом, даже если бы очень захотела, не смогла бы в тот момент помочь. Средств не было даже на текущий ремонт, не то что на капитальный или на расселение.
Так этот дом и просуществовал до 2012 года, когда его жильцам после ряда запросов и судов наконец удалось вынудить местную администрацию провести хотя бы обследование конструкций здания.
Через какое-то время после инструментальных исследований люди получили на руки заключение, в соответствии с которым только небольшая часть конструкций их дома была пригодна для нормальной эксплуатации, значительная же часть находилась в требующем серьезного ремонта или даже в аварийном состоянии. При этом власти приняли решение еще понаблюдать за поведением здания.
Через год было выполнено повторное обследование. Оно показало, что установленные ранее марки в результате прогрессирования деформаций были сорваны, а последствия этих процессов значительно усугубились. Но самое интересное, оказалось, что исходные документы, связанные с проектированием и строительством этого дома, уже давным-давно утеряны – их просто не нашли.
И все же мытарства жильцов на этом не закончились. Дело сдвинулось с мертвой точки только в том, что местной администрации была доказана аварийность дома. Но официально его признали аварийным только в 2017 году. Процесс расселения, для которого уже вроде бы появились финансовые возможности, тянулся до декабря 2022 года. И лишь к концу 2023 года уже пустующее многострадальное здание наконец снесли. Теперь там красуется пустырь (рис. 5).
Рис. 5. Пустырь на месте снесенного аварийного дома
Для признания дома аварийным помимо всего прочего потребовалось выполнение инженерно-геодезических и инженерно-геологических изысканий. Поэтому параллельно с очередным обследованием конструкций на участке проводились буровые работы и топографическая съемка.
В соответствии с итоговым заключением, из пятнадцати выявленных дефектов и повреждений пять имели непосредственную связь с инженерно-геологическими условиями, девять были связаны с ошибками в процессе строительно-монтажных работ или с использованием некачественных стройматериалов и деталей конструкций, а одно повреждение произошло вследствие обеих этих причин.
Деформации, напрямую связанные с неучтенными должным образом инженерно-геологическими условиями:
Причина возникновения вышеперечисленных дефектов – проседание неоднородного и недостаточно уплотненного верхнего слоя основания фундамента, сложенного насыпными грунтами, в результате периодического замачивания при прорывах водонесущих коммуникаций и сезонных гидрогеологических процессов.
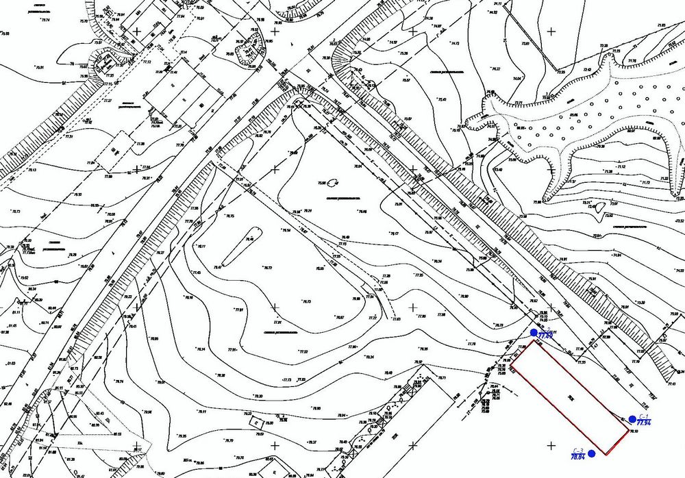
Кроме того, в геоморфологическом плане участок, на котором был расположен рассматриваемый дом, находится в пределах водораздельного пространства, покрытого густой овражно-балочной сетью. Относительно недалеко (примерно в 200 м севернее исследованной площадки) имеется заболоченный участок клиновидной формы (рис. 6) – судя по всему, засыпанный старый овраг, причем засыпанный очень давно, так как архивные результаты топосъемки 1960-х годов отразили только его контур (рис. 7). На рисунке 7 видно, что отвершки этого оврага фактически опоясывали рассматриваемый дом (показанный красным прямоугольником). Скорее всего, овражно-балочная сеть была здесь ранее еще гуще, но в прошлом постепенно подвергалась засыпке.
Рис. 6. Заболоченный участок клиновидной формы (вероятно, засыпанный старый овраг) недалеко от исследованной площадки
Рис. 7. Архивные результаты топосъемки 1960-х годов, отразившие только контур предположительно засыпанного старого оврага. Красным прямоугольником показан контур рассматриваемого аварийного дома
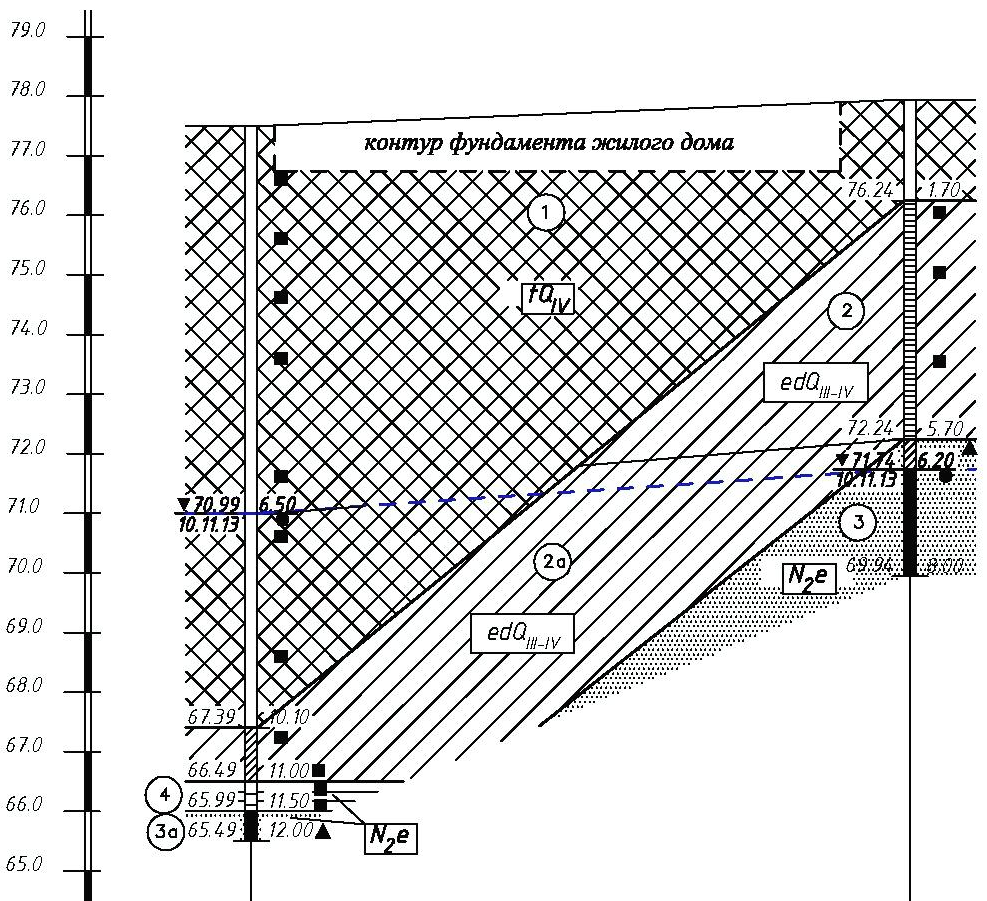
Бурение инженерно-геологических скважин подтвердило непростое строение грунтового основания исследованного дома.
В месте расположения скважины, которая была пробурена ближе всего к засыпанному оврагу, до глубины 10,1 м залегают насыпные грунты, разные по литологии и консистенции, с включением строительного и бытового мусора в количестве до 10%. В точках скважин, пробуренных дальше от оврага, толщина слоя насыпных грунтов меньше – до 1,7 м.
По этим данным можно сделать вывод о том, что ранее этот овраг действительно был намного больше и сложнее по форме, чем заболоченный участок, а рассматриваемый дом был построен непосредственно на бровке бывшего оврага.
На рисунке 8, отражающем результаты современной топосъемки изучаемой территории, отчетливо видны изменения рельефа, связанные с ликвидацией вышеупомянутого оврага. Разница в высотных отметках поверхности объясняется разницей в системах высот, в которых были выполнены геодезические съемки 1960-х годов и в наши дни (см. рис. 7, 8), а также планировочными работами, произведенными в период между ними.
Рис. 8. Результаты современной топографической съемки территории расположения рассматриваемого дома, контуры которого показаны в виде темно-красного прямоугольника. Cиние кружки показывают места расположения инженерно-геологических скважин.
Таким образом, бурение инженерно-геологических скважин показало, что основной причиной перечисленных ранее деформаций действительно должно было быть проседание неоднородных и зачастую слабоуплотненных насыпных грунтов основания фундамента рассматриваемого дома (рис. 9).
Рис. 9. Инженерно-геологический разрез площадки расположения рассматриваемого дома (цифрой 1 в кружке отмечен инженерно-геологический элемент, сложенный насыпными грунтами)
Как уже упоминалось, последствий ошибок, допущенных на этапе строительства, было больше, чем допущенных при проектировании.
Перечислим основные ошибки строителей или их последствия:
Причины перечисленных ошибок или их последствий – использование некачественных стройматериалов, поврежденных деталей конструкций, некачественное выполнение строительно-монтажных работ. К сожалению, это было закономерно в условиях разваливающейся страны, в которых производилось строительство: практически из подручных материалов, с длительными перерывами, начатое неизвестно кем и законченное солдатами из стройбата, а возможно, и при отсутствии правильно выполненной проектной-изыскательской документации (как уже отмечалось, ее вообще не нашли перед обследованием).
При обследовании, как уже упоминалось, был выявлен один дефект, который явился результатом и неправильно учтенных инженерно-геологических условий, и ошибок при строительстве. Это был значительный прогиб сборного железобетонного лотка покрытия в середине пролета, сильно заметный визуально. Вероятно, он возник в результате суммарных деформаций здания.
Был рассмотрен весьма наглядный пример того, как нарушение технологий инженерных изысканий, проектирования и строительства в сложные для страны времена привело к почти тридцатилетним страданиям жильцов маленького трехэтажного дома на окраине одного из рабочих поселков на юге РФ. А сколько еще таких трещащих по швам и разваливающихся наследий прошлого разбросано по бескрайним просторам России, где все еще живут люди?